B and F Auction Service LLC
DBA: Western Heritage Land & Home Co

 Broker/Owner:  John Freeman  918-421-9680  Sales Associates: Monte and Tricia McGuire 405-590-2927                                                                                                     
HomeAbout UsFarm/RanchesResidentialCommercialAuctions
Sold Reviews

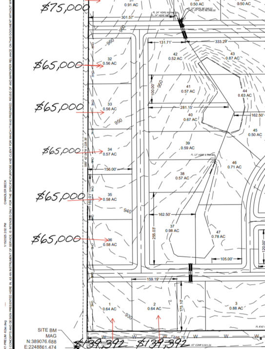
1/2 to  almost 1 acre Lots Stillwater Oklahoma
Country life with easy access to Stillwater!  Come take a look at this awesome property that is available in 1/2 to almost 1 acre tracts right off of Perkins Road south of Stillwater on 50th St!  Get your tracts now before they are gone!   
 
50th St lots   .58 acre $65,000 each
50th St lots .91 acre $75,000 each

Perkins Road and 50th St Hard corner .64 acre lots $139,932

Call us for more information

405-590-2927
Monte and Tricia McGuire
Sales Associate and Brokers Associate